All posts tagged with Louisiana
-
-(Natural News) Lousiana — one of the first states to get low-cost rapid antigen test kits for SARS-CoV-2 from the federal government — is now cautioning against their use for those with asymptomatic symptoms. In their Oct. 28 guidance, the state health department said rapid antigen tests, which work by looking at telltale viral proteins, […] -
-(Natural News) Hurricane Delta is making waves on the Internet after several people have discerned what appears to be the face of a “devil” cropping up in satellite view. Kaitlin Wright, a meteorologist at the WCCB Charlotte, posted a radar image on Saturday of Delta as it approached Louisiana. Her caption read, “CREEPY FACE! Do you see […] -
-(Natural News) Mainstream media was buzzing in the last few days with news of an “unprecedented” twin hurricane that could hit the southern U.S. The news emerged after the National Hurricane Center (NHC) forecast that then-Hurricane Marco and Hurricane Laura might hit New Orleans. But records dating back to a few centuries prove that such twin hurricanes are not unprecedented. It’s […] -
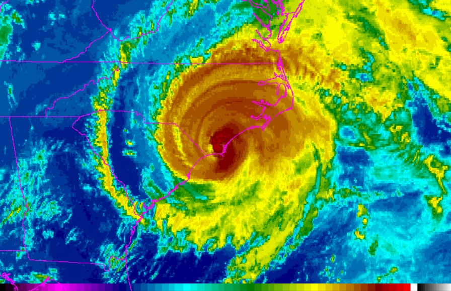
-(Natural News) Thousands of coastal residents in Louisiana and Texas were forced to evacuate their homes due to Tropical Storm Laura. The storm is expected to be the season’s first major hurricane and make landfall on Louisiana and parts of Texas on Thursday. Laura, as well as Hurricane Marco, tore through the Caribbean and the Gulf of Mexico Sunday. It […] -
-(Natural News) On Monday, the governors of New York, New Jersey and Louisiana pointed to signs that the coronavirus outbreak may be starting to level off in their states. However, the governors still warned against complacency as the nationwide death toll from the coronavirus sat at just below 11,000 as of reporting time. While the number […] -
-(Natural News) American health officials around the country are becoming increasingly concerned that it’s simply not going to be possible to contain the still-burgeoning Wuhan coronavirus (COVID-19) outbreak and are warning that the explosion of cases in New York City is just the beginning. As exclusively reported by The Hill, the outbreak that is stretching […] -
-(Natural News) When it comes to Leftist thinking, feelings always trump facts. And there’s perhaps no better example of this than the many deranged ideologies held by today’s Democrats, including their belief that anyone who humanizes unborn babies and says that they have heartbeats is expressing mere conservative opinion, rather than scientific fact. This is […] -
-(Natural News) Since America is now all but completely devoid of any real masculine men who possess the courage, bravery, and will to stand up and put a stop to this utter madness, so-called “Drag Queen Story Hour” is now a thing at many of America’s public libraries – including at Lafayette Public Library in […] -
-(Natural News) There is nothing real about the Left except its deceit, and this was on display once again last week after it was revealed that a Louisiana prep school was exposed for faking transcripts in order to falsely advance black children to elite institutions of higher learning. As The New York Times, of all […] -
-(Natural News) First it was the “incorrect” use of gender pronouns. Now it’s capital letters. Believe it or not, these are among the “triggers” that Generation Snowflake apparently finds most “offensive” in 2018, prompting at least one institution of higher learning in the United Kingdom to advise all of its faculty members to only use […]
Viewing 1 - 10 of 10 posts






